اولین انسان چه زمانی به قاره جدید رسید؟
زمان و نحوه مستقرشدن اولین انسانها در قاره آمریکا از زمانهای قدیم موضوع بحثوجدل دانشمندان بوده است. در قرن بیستم، باستانشناسان باور داشتند که انسانها زودتر از ۱۴ هزار سال پیش به آمریکای شمالی نرسیدهاند. اما حالا در تحقیقات جدیدی گفته شده است که انسانها حدود ۲۳ هزار سال قبل، یعنی حدود ۷ هزار سال زودتر به قاره آمریکا پا گذاشتهاند.
دیجیاتو نوشت: زمان و نحوه مستقرشدن اولین انسانها در قاره آمریکا از زمانهای قدیم موضوع بحثوجدل دانشمندان بوده است. در قرن بیستم، باستانشناسان باور داشتند که انسانها زودتر از ۱۴ هزار سال پیش به آمریکای شمالی نرسیدهاند. اما حالا در تحقیقات جدیدی گفته شده است که انسانها حدود ۲۳ هزار سال قبل، یعنی حدود ۷ هزار سال زودتر به قاره آمریکا پا گذاشتهاند.
کارشناسان قرن بیستم تصور میکردند که حضور انسانها در قاره آمریکا با تشکیل یک گذرگاه بدون یخ بین دو صفحه یخی عظیم که کانادای کنونی و شمال ایالاتمتحده را شامل میشود، مصادف بوده است. براساس این ایده، گذرگاه مذکور که در اثر ذوبشدن یخها در پایان آخرین عصر یخبندان ایجاد شده، به انسان اجازه داده تا از آلاسکا به قلب آمریکای شمالی برود. بااینحال، بهمرورزمان این ایده از بین رفت. در دهههای اخیر گفته شده که اولین شواهد از حضور انسانها در قاره آمریکا مربوط به ۱۴ هزار تا ۱۶ هزار سال پیش بوده است.
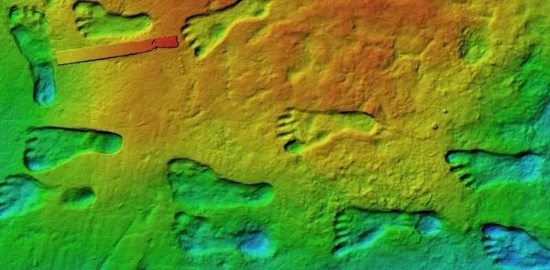
ردپا گروهی از افراد در سنین مختلف
در سپتامبر ۲۰۲۱، مقالهای توسط مجله Science منتشر شد که در آن قدمت نشانههای فسیلی کشفشده از انسانها در نیومکزیکو به حدود ۲۳ هزار سال پیش و دوران اوج آخرین عصر یخبندان نسبت داده شده بود. این مطالعه جدید، اطلاعات ارائهشده در آن مقاله را تأیید میکند و گفته شده است که قدمت ردپای باستانی در پارک ملی «وایت سندز» نیومکزیکو به حدود ۲۳ هزار سال پیش برمیگردد و آن را به قدیمیترین نشانههای بشر در قاره آمریکای تبدیل میکند.

بیشتر بخوانید:
-
عامل اصلی انقراض دایناسورها پیدا شد
-
گرانترین وانت بازار ایران/ پیکاپ جانسختی که خودروی لوکس شد/ عکس
همچنین این تحقیق جدید، شواهد بیشتری را ارائه میکند که انسانهای پیشین در اوج آخرین عصر یخبندان در دنیای جدید حضور داشتهاند؛ زمانی که یخچالهای طبیعی احتمالاً حدود یکچهارم مساحت زمین را پوشانده بودند.
ردپای انسان در محل مطالعه
ردپاهای پارک ملی «وایت سندز» اولینبار سال ۲۰۰۹ در کنار ساحل یک دریاچه ماقبل تاریخ کشف شد. تا نوامبر سال ۲۰۲۱، مجموعاً ۶۱ اثر انسانی و همچنین شواهدی از ماموتها، دایرولفها و شیرهای آمریکایی پیدا شد. در مطالعه مربوط به سال ۲۰۲۱ که اکنون یافتههای آن تأیید شده است، براساس روش تاریخگذاری رادیوکربن که سازوکاری برای تعیین قدمت موجودات مصرفکننده کربن است، دانشمندان قدمت دانههای گیاهی آبزی را که در این ردپاها آمیخته شده بودند، بهدست آوردند و تخمین زدند که این آثار کشفشده مربوط به ۲۳ هزار تا ۲۱ هزار سال پیش است.
تاریخگذاری رادیوکربن برایناساس است که ایزوتوپهای کربن در ارگانیسمهایی که در ۵۰ هزار سال گذشته مردهاند، چگونه دچار واپاشی رادیواکتیو میشوند. درواقع با این روش میتوان هر نوع ماده آلی را تاریخگذاری کرد.
تبلیغات متنی
-
انفجار مین در دهلران جان پسر ۱۳ ساله را گرفت
-
ژیلا صادقی خطاب به برزو ارجمند: میتوانم برایت در آمریکا کاری کنم
-
قشنگترین کلیپ این روزها از شیراز منتشر شد
-
سروش رفیعی از ایران خارج شد
-
استوری قابلتأمل نفیسه روشن پربازدید شد
-
لاریجانی غیرمستقیم حرف نهایی ایران به ترامپ را گفت
-
چگونه سیب زمینی شکم پر درست کنیم؟
-
پیشنهاد نیما شعباننژاد به مردم بعد از سکوت طولانی
-
عزاداری متفاوت یک راننده تاکسی درباره اتفاقات اخیر
-
خلاصه بازی تراکتور ۰ - السد ۲
-
ادعای تازه؛ ترامپ به ایران دو گزینه برای انتخاب داد
-
اقدام دولت برای آزادی چهرههای خبرساز اصلاحطلب
-
تازه عروس سینمای ایران: شوری برای زندگی ندارم
-
غلط املایی در بنر مناسبتی شهرداری جلب توجهکرد
-
ازدواج مجدد گوینده سابق خبر با وجود عشق به همسر اول
-
نامزدهای سیمرغ جشنواره فیلم فجر اعلام نشدند
-
لاریجانی غیرمستقیم حرف نهایی ایران به ترامپ را گفت
-
ادعای تازه؛ ترامپ به ایران دو گزینه برای انتخاب داد
-
اقدام دولت برای آزادی چهرههای خبرساز اصلاحطلب
-
نتانیاهو میخواهد این اطلاعات از ایران را فورا به ترامپ بگوید
-
پروازهای شبانه به اسرائیل دوباره لغو شد
-
تیپ دهه شصتی خانم گزارشگر صداوسیما در سفر به عمان
-
آمریکا به دو کشور همسایه ایران سلاح نظامی داد
-
رکورد ۵۰ ساله گرما امروز در تهران شکسته شد
-
لاریجانی به اصرار پوتین با ترامپ تماس تصویری گرفت!
-
یک اتفاق بیسابقه جشنواره فجر را شوکهکرد!
-
شکست ناباورانه، صعود استقلال را دشوار کرد
-
زبان بدن عارف در جشنواره فجر جلبتوجه کرد
-
لاریجانی به آمریکا در عمان پیغام فرستاد
-
اولین آمار از میزان خسارت بازار رشت
-
صابرین نیوز: سورپرایز جدید نظامی در راه است
-
رضا عطاران و مریلا زارعی در جشنواره فجر غیب شدند
-
مقدمات مهاجرت دائمی کامران نجفزاده را فراهم کنید
-
امیرحسین فتحی: قسمتی از من برای همیشه مُرد
-
اهدای ماکت جنگنده J-۲۰ به فرمانده ارشد ایرانی
-
گلزار، سینا مهراد و هادی حجازیفر ماموران صداوسیما شدند
-
گزارش شبکه الجزیرة از موشک خرمشهر-۴
-
پرویز پرستویی: پیکر برادرم را تکه تکه تحویل گرفتم
-
خانم بازیگر سریال گاندو در جشنواره فجر رخنمایی کرد
-
خبر فوری معاون ترامپ درباره مذاکره با ایران
-
ادعای شبکه ۱۵ اسرائیل درباره پیام آمریکا به ایران
-
نفیسه روشن: روزی ۲۳ ساعت گریه میکنم
-
حضور بازیگر پدر سالار در جشنواره فجر به چشم آمد
-
سپاه از پیغام ترامپ درباره جنگ خبر داد
-
لحظه تحویل سال ۱۴۰۵ چه ساعتی است؟
بانک اطلاعات مشاغل تهران و کرج
-
سالن های آرایش و زیبایی
-
پزشکان پوست و مو
-
آموزشگاه آشپزی در تهران
-
گالری پوشاک
-
اخذ ویزا
-
کاشت ناخن
-
محصولات پزشکی
-
تدریس خصوصی
-
مزون و شوی لباس
-
اعزام دانشجو
-
خدمات آرایشی و زیبایی
-
خدمات درمانی
-
مدارس
-
طلا و جواهر و زیورآلات
-
صرافی
-
محصولات آرایش و زیبایی
-
خدمات حیوانات خانگی
-
مهد کودک
-
مبلمان
-
سیسمونی و نوزاد
-
مراکز درمانی
-
پت شاپ
-
رستوران و تهیه غذا
-
تعمیرات مبل در تهران
-
خدمات تفریح و سرگرمی
-
پزشکان متخصص
-
باشگاه های ورزشی
-
فست فودهای تهران
-
سرویس خواب
-
موبایل
-
دکتر زنان در تهران
-
فروشگاه ها و لوازم ورزشی
-
کافی شاپ و سفره خانه
-
دکوراسیون داخلی
-
لوازم خانگی
-
دندانپزشکان
-
آموزشگاه ها
-
صنایع غذایی
-
تزیینات داخلی
-
خدمات منزل
-
دندانپزشکی کودک
-
آموزشگاه زبان در تهران
-
تشریفات و موسسه پذیرایی
-
خدمات ساختمان
-
فروش و خدمات خودرو
-
پزشکان زیبایی و لاغری
-
آموزشگاه موسیقی
-
خدمات مجالس
-
قالیشویی در تهران
-
سایر خدمات
-
جراحی بینی و زیبایی
-
آموزشگاه هنری
-
آتلیه عکاسی
-
آژانس مسافرتی و هتل
ارسال نظر